生态与环境

沙漠光伏电站地表蚀积发生机制实验研究

  • 王浩 , 1, 2, 3, 4, 5 ,
  • 李生宇 , 1, 2, 3, 4 ,
  • 王海峰 1, 2, 3, 4 ,
  • 范敬龙 1, 2, 3, 4 ,
  • 崔珂军 1, 2, 3, 4, 5
展开
  • 1.中国科学院新疆生态与地理研究所国家荒漠-绿洲生态建设工程技术研究中心,新疆 乌鲁木齐 830011
  • 2.中国科学院新疆生态与地理研究所荒漠与绿洲生态国家重点实验室,新疆 乌鲁木齐 830011
  • 3.中国科学院新疆生态与地理研究所干旱区生态安全与可持续发展重点实验室,新疆 乌鲁木齐 830011
  • 4.中国科学院新疆生态与地理研究所莫索湾沙漠研究站,新疆 石河子 832000
  • 5.中国科学院大学,北京 100049
李生宇. E-mail:

王浩(1996-),男,硕士研究生,主要从事干旱区生态恢复等方面研究. E-mail:

收稿日期: 2024-09-13

  修回日期: 2024-10-25

  网络出版日期: 2025-08-13

基金资助

第三次新疆综合科学考察项目“塔里木盆地风沙灾害调查与风险评估”(2021xjkk0305)

国家电力投资集团内蒙古能源有限公司委托项目“蒙古国光伏能源开发与退化生态治理融合发展战略研究”

Wind tunnel experiment and numerical simulation of surface erosion and accumulation in desert photovoltaic power stations

  • WANG Hao , 1, 2, 3, 4, 5 ,
  • LI Shengyu , 1, 2, 3, 4 ,
  • WANG Haifeng 1, 2, 3, 4 ,
  • FAN Jinglong 1, 2, 3, 4 ,
  • CUI Kejun 1, 2, 3, 4, 5
Expand
  • 1. National Desert Oasis Ecological Construction Engineering Technology Research Center, Xinjiang Institute of Ecology and Geography, Chinese Academy of Sciences, Urumqi 830011, Xinjiang, China
  • 2. State Key Laboratory of Desert and Oasis Ecology, Xinjiang Institute of Ecology and Geography, Chinese Academy of Sciences, Urumqi 830011, Xinjiang, China
  • 3. Key Laboratory of Ecological Security and Sustainable Development in Arid Areas, Xinjiang Institute of Ecology and Geography, Chinese Academy of Sciences, Urumqi 830011, Xinjiang, China
  • 4. Mosuowan Desert Research Station, Xinjiang Institute of Ecology and Geography, Chinese Academy of Sciences, Shihezi 832000, Xinjiang, China
  • 5. University of Chinese Academy of Sciences, Beijing 100049, China

Received date: 2024-09-13

  Revised date: 2024-10-25

  Online published: 2025-08-13

摘要

风沙活动引起地表侵蚀或堆积,影响光伏电站的安全运行。为阐明沙漠光伏电站地表风蚀的发生机制,通过风洞实验与数值模拟,分析了不同风速条件下(6 m∙s-1,8 m∙s-1,10 m∙s-1),光伏板在正、反风向下的风速流场特征及蚀积变化规律。结果表明:(1)光伏板改变了近地表风速和流场,形成了板前气流抬升区、板下气流加速区、板后涡流减速区及板尾气流恢复区;板下近地表风速显著增加,易掏蚀,而板后风速降低,易堆积。(2)反风向时,光伏板板下“狭管效应”导致气流加剧,风蚀明显大于正风向气流,而板后堆积与背风侧的涡流减速有关。(3)光伏电站边缘光伏阵列板下风蚀最为严重,而电站内部光伏阵列则风蚀较轻;随着光伏组件高度增加,板下风蚀有所减轻。研究结果可为沙漠光伏电站沙害防治和高效生产提供科学依据。

本文引用格式

王浩 , 李生宇 , 王海峰 , 范敬龙 , 崔珂军 . 沙漠光伏电站地表蚀积发生机制实验研究[J]. 干旱区研究, 2025 , 42(2) : 349 -359 . DOI: 10.13866/j.azr.2025.02.14

Abstract

Wind-sand activities cause surface erosion or accumulation, affecting the safe operation of photovoltaic power plants. This study analyzed the field characteristics of wind speed flow and the erosion variation of photovoltaic panels under different wind speed conditions (6, 8, and 10 m·s-1) through wind tunnel experiments and numerical simulations to elucidate the mechanism of surface wind erosion in desert PV power plants. The research results revealed that (1) photovoltaic panels change the near-surface wind speed and flow field, forming a front plate airflow lifting zone, a bottom plate airflow acceleration zone, a back plate vortex deceleration zone, and a tail plate airflow recovery zone; the wind speed near the surface of the board significantly increases, making it prone to erosion, while the wind speed behind the board decreases, making it prone to accumulation. (2) when the wind direction is reversed, the “narrow tube effect” under the photovoltaic panel leads to increased airflow, and wind erosion is significantly greater than normal airflow. The accumulation behind the panel is related to the deceleration of the vortex on the leeward side. (3) the wind erosion under the edge array panel of the photovoltaic power station is the most severe, while the wind erosion inside the power station array is relatively light; as the height of the photovoltaic modules increases, the wind erosion under the panels is reduced to some extent. The results provide a scientific basis for sand hazard prevention and efficient production of desert photovoltaic power plants.

在全球气候变暖背景下,国际社会在重视二氧化碳减排的同时,也在不断探索新型清洁能源开发[1],而太阳能是最有潜力替代化石能源和改变当前能源结构的选择[2]。根据英国石油公司统计[BP《世界能源统计》(2020年)],太阳能在可再生能源发电中的份额逐年增加,已由5 a前的14%增加到现今的26%[3]。光伏发电生产成本也逐步降低,光伏发电经济性显著提高,有望成为未来世界能源供应的主体。
光伏电站是一种利用太阳能的一种方式,在全球范围内备受关注。地面安装光伏板会占用大量土地,而沙漠地区既有广袤的荒地,也有丰富的太阳能资源,成为光伏电站建设的理想场所,目前,海湾国家和中国正积极推进这一技术[4],探索出光伏发电与防风治沙相结合的双赢模式[5]。光伏电站建设还促进了地表植被恢复,有助于与牧业协同发展[6]。然而,沙漠地区植被稀少,风沙活动频繁,威胁光伏电站安全,如光伏板积尘降低发电效率,大风降低光伏支架稳定性,地表风蚀和积沙影响光伏基地安全。因此,沙漠光伏电站地表蚀积灾害防治已成为光伏产业发展亟须解决的关键问题。
学者们通过野外观测、风洞实验、及数值模拟等手段研究了光伏板周围风场[7]、风压[8]、风荷载[9-10]、输沙特性[11]和风蚀防治技术等[12-13],探索了光伏阵列不同位置的蚀积规律。Yemenici等[14]通过风洞实验和数值模拟研究,发现光伏板倾斜角度和风向影响风蚀,前排光伏组件承受最大风压,斜向风在主要组件中形成净负压,迎风阵列屏蔽作用微弱。黄政等[15]和李居庆等[16]用数值模拟研究了多排光伏板不同角度入射风的风压分布特性,发现光伏阵列之间存在显著的遮蔽效应,学者You等[17]风洞研究发现单个光伏板和光伏阵列对气流影响不同,光伏阵列会导致局部风蚀加剧。袁方等[18]野外试验观测了毛乌素沙地光伏板间风速变化特征,分析了典型风蚀防治措施的防护效益及作用机理,探讨了高效防治措施及配置模式。
光伏电站风蚀的影响因素主要有风向、风速、光伏板倾斜角度等,但对不同高度光伏板风蚀特征鲜有研究。尽管学者们对光伏板周围的流场结构进行了研究,为沙漠光伏电站提出了一些防护建议[19-20],但仍然没有深入剖析光伏板周围蚀积发生机制。多数学者研究对象为草原光伏和屋顶光伏,而沙漠光伏电站研究相对较少,有必要系统研究沙漠光伏电站周围流场特征,系统揭示光伏电站风蚀发生机制。本文通过风洞实验和数值模拟,研究阐明沙漠光伏电站风蚀发生机理,提出合理防治建议,为沙漠光伏电站风沙灾害科学防治提供理论依据。

1 实验设备与方法

1.1 风洞实验

2022年6月,该实验在中国科学院新疆生态地理研究所莫索湾沙漠研究站风洞实验室进行。该风洞由中国航空航天工业空气动力学研究所设计和建造,为低速直流吹气式风洞,全长16.2 m,由动力段、整流段、实验段和扩散段四部分组成,其中实验段长4 m,风洞横截面宽1.3 m,高1 m(图1)。该风洞采用侧壁扩散结构,侧壁扩散角为0.2°,底板和侧壁边界层厚度分别为15 cm和10 cm,实验风速在0~20 m∙s-1范围内可调。在实验过程中,使用恒温热线风速计测量进风口风速,通过皮托管测量不同高度(1、2、3、7、10、15、30 cm和50 cm高)的压力,并将压力转换为风速。
图1 风洞实验设备和实验的单个光伏板模型

Fig. 1 Schematic diagram of wind tunnel and a single photovoltaic panel model in the experiment

1.1.1 模型制作

雷诺数是描述流体运动湍流特性的主要参数,当达到2.5×l05~1×l07时,流体作用进入自模拟区[21],可以保证运动相似性。对于完全发展的湍流运动,其运动状态不会随雷诺数增加而改变,运动具有自相似性。本风洞实验段的平均雷诺数为106,满足湍流特征,满足风沙流运动模拟条件。基于几何相似理论与雷诺数相似原则,结合野外实测的光伏板支架高、板面长度等参数,采用1:30的几何缩尺比,设计制作了10 cm×80 cm的光伏板模型(图2),光伏组件最高点离地面10 cm,光伏组件最低点离地面3.2 cm,支架最高点离地面9.1 cm,支架最低点离地面4 cm,相邻两立柱间距为6.8 cm。该模型满足风洞实验的几何相似性。
图2 光伏组件风洞实验模型

Fig. 2 Wind tunnel experimental model for photovoltaic modules

1.1.2 测点位置布设

风洞实验中的风速是由皮托管和微差压变送器组成的测量系统获得的,测量系统由9根精细皮托管(距地表高度h分别为1、2、3、5、7、9、10、30、50 cm)组成,使用前用标准皮托管对每个皮托管进行校准(图3)。在光伏组件模型中心线前面1 H~5 H(H为光伏组件高度)和后面-1 H~-15 H共设置了20个测量点。由沙漠光伏电站野外气象观测资料可知,全年起风沙次数以中等偏上风力最多,大于8 m·s-1的大风较常见,最大风速可达10~15 m∙s-1。实验前经过试吹发现,当风速为6 m∙s-1时,光伏板下蚀积活动开始发生。为了更好地模拟光伏组件在低、中、高风速梯度下的蚀积规律,分别采用6 m∙s-1、8 m∙s-1、10 m∙s-1 3个风速,进行正风向和反风向实验。使用Sufer 12.0软件绘制模型中线垂直流场断面图。
图3 4种光伏阵列实验模型和皮托管测点位置

Fig. 3 Four kinds of photovoltaic array experimental models and the location of the managed location and pitot tube measuring points

1.2 数值模拟

计算流体动力学(Computational Fluid Dynamics,CFD)是一门涉及数学、流体动力学和计算机科学的交叉学科。本文采用Fluent软件进行数值模拟。先使用CAD绘制了光伏组件的三维模型:光伏组件模型高度分别为32.8 cm、40.4 cm和48.0 cm,矩形光伏板的尺寸为81.0 cm×17.0 cm,倾角36°,光伏阵列由4行×4列光伏板(高度40.4 cm)组成。
采用OpenFOAM 10软件导入STL文件,并划分基本计算域网格(图4)和加密区域网格,加密级别设4,边界层数量设3,扩展比设1.0,最大厚度设0.15,最小厚度设0.1;网格质量约束最大非正交为65,最大边界倾斜系数为20,最大内部偏斜系数为4,混合凹面为80,最小体积为1×10-13 m3,最小质量为2.4×10-13 kg,最小面积区域为1×10-10 m2,最小扭曲度为0.05,最小行列式为0.001,最小体积比0.01,最小三维角度扭转为-1,平滑比例为4,错误校正为0.75。单个光伏组件的网格数量为4.39×106个,光伏阵列面板网格数量为3.39×106个。在稳定模式下求解计算,用k-ε黏性模型,壁面通过标准壁面函数处理,光伏组件模型和计算域壁面均采用无滑移边界条件,壁面速度为0,随着距离增加,流速逐渐增加到主流速度,越靠近壁面,速度变化越大,速度场、压力场等其他变量梯度在壁面附近都非常大。因此,壁面附近的计算网格需要非常精细,然而网格数目太多会占用过多计算资源,还会导致收敛性变差。有限体积法网格中心点处变量为线性的,壁面函数采用较粗糙网格,将壁面附近网格内的变量用非线性函数来表示。采用压力与速度耦合的SIMPLE算法进行求解,其表达式为:
ρ D k D t = x j α k μ e f f k x j + 2 μ t S - i j u i x j - ρ ε
ρ D ε D t = x j α ε μ e f f ε x j + 2 C 1 ε ε k ν t S - i j u - i x j - C 2 ε ρ ε 2 k - R
图4 网格划分

Fig. 4 Mesh division

其中 S - i j = u - i x j + u - i x i μ e f f = μ t + μ μ t = C μ k 2 ε S - i j为应变率张量;k表示湍动动能;ε表示湍流动能耗散率;此外 R ε方程中表示平均应变率对 ε影响的附加源项,其表达式为:
R = C μ η 3 1 - η / η 0 1 + β η 3 ε 2 k η = S k / ε
k = u * 2 C μ
ε = u * 3 k 1 z + z 0
模拟入口采用对数分布大气边界层条件[22],入口流速设置采用方程(6),出口设置为压力出口,其他面为无滑动边界。初始化后进行计算,以x方向速度、y方向速度和z方向速度的残差小于1×10-5,湍动动能和湍流耗散率的残差小于1×10-5,来判断计算结果的收敛性。
u (z) = u * k l n   z + z 0 z 0
模型自定义常数 C μ = 0.0845;模型自定义湍流动能耗散率的湍流普朗特数C1ε=1.42;模型自定义湍流动能耗散率的湍流普朗特数C2ε=1.68;有效湍流动能的湍流普朗特数倒数αk=1.00;有效湍流动能耗散率的湍流普朗特数倒数αε=7.69;模型自定义源项数β=0.012;模型自定义附加项数η0=4.38,卡门常数k1=0.4;气动粗糙长度z0=0.0005 m。u(z)为数值模拟入口处风速;u*=0.4 m∙s-1为来流摩阻风速;z为距地面垂直距离。

2 结果与分析

2.1 风洞实验

正向气流吹向单个光伏组件时(图5a1图5b1图5c1),风速等值线在光伏组件前方上凸(长度为0~10 cm,高度为0~10 cm),表明风速在板前增加,形成板前气流抬升区;气流穿过光伏组件(位置为-5~-40 cm)后,风速轮廓线呈环形,速度降低,表明受光伏板影响,出现了涡流减速区;气流远离光伏组件(位置为-40~-120 cm)后,风速逐步增加,并在大约12 H时恢复到上风向初始风速,形成尾流恢复区。如图5b1所示,气流穿过光伏组件下沿与地面缝隙(位置为-5~10 cm,高度为0~3 cm)时,会有一定加速现象。
图5 单个光伏组件纵向剖面流场

注:(a1)、(b1)、(c1)为正向气流分别以6 m·s-1、8 m·s-1、10 m·s-1风速吹向单个光伏组件;(a2)、(b2)、(c2)为反向气流分别以6 m·s-1、8 m·s-1、10 m·s-1风速吹向单个光伏组件。

Fig. 5 Longitudinal profile flow field of a single photovoltaic module

反向气流吹向单个光伏组件时(图5a2图5b2图5c2),气流通过光伏组件下沿与地面之间的缝隙(位置为-5~20 cm,高度为0~3 cm)时,因“狭管效应”而发生气流加速,形成板下气流加速区;气流穿过光伏组件,在光伏组件背风侧(位置为-5~-40 cm)出现了大面积的涡流减速区域;气流远离光伏组件(位置为-40~-120 cm)后,速度逐步恢复增加。
两个风向时的最高风速均出现在光伏组件上方,而最低速度均出现在涡流减速区。气流通过光伏组件时发生减速,随着气流远离光伏组件,风速逐渐增加恢复,并在大约12 H时恢复到上风向初始风速。来流风速增加时,模型气流后面的涡流减速区逐渐收缩,光伏组件对气流的影响范围也在缩小。
图6可知,光伏阵列背风侧(位置为0~-120 cm)减速区连续且范围大,板间风速总体也呈下降趋势,表明光伏阵列削弱了近地表气流能量。整体上,正反两风向时,随着风速增加,光伏阵列后面的涡流减速区范围均逐渐缩小;与单个光伏板相比,光伏阵列背风侧涡流减速区范围更大;光伏阵列板下沿与地面缝隙都有程度不同的风速加速现象,以迎风侧光伏板下加速最为强烈。
图6 光伏阵列纵向剖面流场

注:(a1)、(b1)、(c1)为正向气流分别以6 m·s-1、8 m·s-1、10 m·s-1风速吹向光伏阵列;(a2)、(b2)、(c2)为反向气流分别以6 m·s-1、8 m·s-1、10 m·s-1风速吹向光伏阵列。

Fig. 6 Photovoltaic arrays module longitudinal profile wind field

2.2 CFD数值模拟

2.2.1 单个光伏组件的流场模拟

正、反风向时光伏板流场模拟表明,光伏组件的速度变化模式与风洞实验基本一致。正向气流穿过光伏板时(图7a1图7b1图7c1),光伏板迎风侧出现加速现象,最大风速出现在光伏板上方;气流穿过光伏板后,在背风侧形成涡流减速区;随气流远离光伏板,风速逐渐恢复,在大约12 H(位置-4.5 m)时逐渐恢复到上风侧的初始速度;光伏板下方有气流加速现象。反向气流穿过光伏板时(图7a2图7b2图7c2),光伏板前方风速降低(位置为-3.75~-3.25 m,高度为0~0.33 m),在光伏板上方气流达到最大值;光伏板后面形成了涡流减速区,光伏板下因“狭管效应”产生的气流加速区,尾流恢复区位置大约在12 H。
图7 不同高度单个光伏组件的纵向流场

注:(a1)、(b1)、(c1)为正向气流分别对高度为32.8 cm、40.4 cm、48.0 cm的单个光伏板吹扫;(a2)、(b2)、(c2)为反向气流分别对高度为32.8 cm、40.4 cm、48.0 cm的单个光伏板吹扫。

Fig. 7 Longitudinal flow field of different heights of single photovoltaic component

随着模型高度增加,光伏板(位置为-0.75~0.25 m)下沿与地表缝隙风力加速变得越来越明显,光伏板背风侧的减速区面积逐步收缩,且减速区高度逐渐增加,表明光伏板高度增加,光伏板对流场影响逐渐减小。

2.2.2 光伏阵列的流场模拟

无论正向风(图8a图8b)还是反向风(图8c图8d),光伏板间风速总体呈下降趋势,最大风速可降低90%,并在尾流区形成了一个很大的减速区,光伏板下沿与地表缝隙均存在气流加速现象。不同之处在于,正向风(图8a)时,第一排光伏板背风侧的减速涡流区范围明显大于反向风(图8c)。可见,光伏阵列的流场不是单个光伏板的流场的简单叠加,而是复杂的耦合流场系统;光伏阵列第一排光伏板影响第二排光伏板,而第二排光伏板形成的二次流继续影响第三排。
图8 光伏阵列的速度分布

注:(a)、(b)为正向气流对高度为40.4 cm的光伏阵列吹扫;(c)、(d)为反向气流对高度为40.4 cm的光伏阵列吹扫。

Fig. 8 Velocity distribution of the photovoltaic panel array

2.2.3 单个光伏组件地表剪切力模拟

在恒定的沙源供应、沙粒大小、土壤湿度、植被覆盖和土壤密实度条件下,地表剪切力是表征地面侵蚀和堆积的代用指标,高剪切力区域通常代表发生风蚀,低剪切力区代表发生风积[23]。从正向风时不同高度光伏组件底面上的剪切力分布(图9a1图9b1图9c1)可知,光伏组件周围的剪切力没有显著差异,剪切力最大值分布在光伏组件立柱周围;随着光伏板高度增加,光伏板背风侧处低剪切力区域形状从泪滴形变为锥形,表明光伏板阻挡了气流,在尾流区域中发生绕流辐合堆积。
图9 不同高度光伏组件地表剪切力分布

注:(a1)、(b1)、(c1)为正向气流分别对高度为32.8 cm、40.4 cm、48.0 cm的单个光伏板吹扫;(a2)、(b2)、(c2)为反向气流分别对高度为32.8 cm、40.4 cm、48.0 cm的单个光伏板吹扫;(d1)、(d2)为风洞实验正反两风向下光伏组件的蚀积模式。

Fig. 9 Wall shear distribution on the bottom surface of the photovoltaic modules at different heights

反向气流通过光伏组件时,高剪切力区域分布在光伏组件背风侧(图9a2图9b2图9c2),剪切力强度高于正风向。因此,反向风通过光伏组件时,气流所造成的风蚀损害较正风向更为严重。随着光伏组件高度增加,剪切力强度逐渐降低,剪切力大小和高度呈负相关。光伏组件立柱周围的风蚀最为严重,风洞实验和数值模拟结果一致(图9d1图9d2)。

2.2.4 光伏阵列地表剪切力模拟

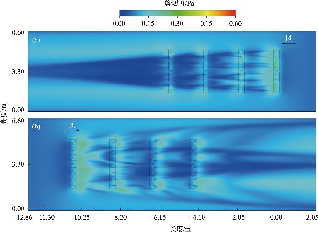
光伏阵列地表剪切力分布是由单个光伏组件相互作用形成的复杂耦合系统。当气流以正向风穿过光伏阵列时(图10a),光伏板背风侧的地表剪切力逐渐变弱,并随着气流的穿过而呈现下降趋势,与反向风时有很大不同(图10b)。在反向气流时,地表剪切力下降仅发生在第一排光伏组件,而后三排光伏组件之间的地表剪切力基本相同,没有明显变化。反向风时具有更广泛的地面风蚀面积和更强的风蚀能力,与单个光伏板的风蚀发生规律相同。与单个光伏板地表风蚀不同之处在于,光伏阵列第一排光伏组件背风侧的风蚀范围比单个光伏组件的范围更广,表明光伏阵列增强了单个光伏组件在地面上的风蚀能力。
图10 光伏阵列地表剪切力分布

注:(a)为正向气流对高度为40.4 cm的光伏阵列吹扫;(b)为反向气流对高度为40.4 cm的光伏阵列吹扫。

Fig. 10 Photovoltaic array bottom shear distribution

3 讨论

3.1 极端干旱区“光伏治沙”作用不明显

光伏电站增加了地表粗糙度,对近地表风速产生了显著影响,改变了地表土壤颗粒的风蚀动力。土壤颗粒的可蚀性除了与自身颗粒大小、密度以及颗粒间化学胶结作用有关外,还与土壤的温度、水分以及植被状况有密切关系。由于光伏组件的遮挡,电站内地表反照率必然低于电站外[24],地表温度降低,地表蒸发量下降,可以保蓄土壤水分,有利于植物生长[25]。Wang等[26]研究表明,光伏电站建成后,由于光伏板遮阴作用,土壤含水量比电站周边增加了30%~34%。
实际调查发现,这种变化存在很大的区域差异性,不是所有光伏电站都有利于板下生态恢复。如地处极端干旱区的敦煌,年降水量低于50 mm,自然地表光裸,植被覆盖条件极差,光伏电站建成数年后也难以促进植被生长[27]。在干旱地区,光伏板遮阴作用虽然减少了地表热量收入,而其挡雨作用也使板下接收降水量减少,风加速又促进了土壤水分蒸发损失,导致土壤干燥,植被生长变差,使板下土壤更容易被风蚀。因此,沙漠光伏电站的效益具有明显的区域差异性,在干旱区作用微乎其微,板间土壤反而更加干燥,光伏场站地表风蚀问题是需要关注的问题。

3.2 沙漠光伏电站地表蚀积发生机制

学者们对沙漠光伏电站蚀积现象进行了相关研究。唐国栋等[28]通过野外观测发现,北半球光伏阵列对南侧来流遮蔽效应强于北侧来流,而南半球光伏电站风蚀危害则与北半球刚好相反[29],可知反向气流对光伏板下所造成的风蚀侵害比正风向更为严重,与本风洞实验结果一致。本研究光伏基地地表蚀积与气流加速和减速的耦合关系,确定了光伏电站易掏蚀和堆积区。
贾瑞庭等[30]通过野外观测研究,发现光伏电站边缘地区与内部的流场存在较大差异,边缘区流场发育完整,具有典型性,光伏板下风蚀严重,板间积沙呈带状延伸;同时受光伏板边缘绕流影响,除在光伏板背风区形成积沙尾翼外,光伏板两侧也会形成积沙。光伏组件会导致光伏基地边缘区贴地表风速增强,风蚀严重,但在光伏电站内部,由于整体流速降低,地表风蚀减轻。本文模拟研究也发现,光伏电站内迎风侧第一排光伏阵列下具有较强的风沙活动性,地表沙粒更容易被吹走,顺风为下风方向提供了沙源;随着沙物质向光伏电站内部搬运,很容易发生堆积。本研究还发现,随着光伏组件高度增加,地表风蚀逐步减弱。这是因为光伏阵列对地表气流的阻滞和下导压缩作用减轻。
沙漠光伏电站地表蚀积是多种环境因素共同作用的结果,除了与风速、风向和光伏板高度有关外,还与其他因素有关:(1)沙漠地区的微地形特征,如沙丘和洼地,会影响风速、风向及气流的分布,从而对蚀积过程产生影响。(2)地表土壤的颗粒大小、含水量和黏性等性质对风蚀和积沙过程起到关键作用,松散、干燥的沙土更容易被风吹起,并重新沉积。(3)植被在固沙和减缓风蚀方面发挥重要作用,植被类型、覆盖度及生长季节均对地表蚀积有显著影响。(4)光伏电站的建设、维护改变原有地表特征和生态系统,从而影响蚀积过程,如施工和车辆活动导致表土壤结构破坏,松散易风蚀。
为保障干旱区沙漠光伏电站安全运行,应采取综合防治措施。首先,在条件允许下,尽可能增加光伏组件的高度,可以有效降低地面的风蚀风险,而且还能有益于板下植被生长,并减轻植物对光伏板遮挡造成的发电效率下降问题。其次,综合利用生物和机械防沙措施,布置在沙漠光伏电站迎风边缘的易风蚀和沙埋区;最后,在光伏电站外围,应固定地表流沙,降低入侵电站的流沙量。除了常规的草方格外,光伏电站风蚀防治还可以因地制宜采用砾石或黏土覆盖、喷洒固沙剂等固沙措施。

4 结论

通过风洞实验和数值模拟,研究了正、反风向和不同风速条件下光伏板近地表流场及地表蚀积特征,得到如下主要结论:
(1)沙漠光伏电站地表蚀积强度存在较大的空间差异性,在光伏电站迎风边缘光伏组件地表蚀积最为严重,而电站内部光伏阵列地表风蚀轻微;在干旱和极端干旱区的沙漠光伏电站,地表蚀积危害最明显。
(2)光伏组件对地表气流有下导压缩加速作用,板下气流加速,地面剪切力增加,导致地表风蚀;板前或板后形成的反向涡流减速,造成风沙堆积;反向气流增强了光伏电站地表蚀积危害;增加光伏板高度,光伏组件对地表气流扰动作用降低,地表蚀积危害下降。
[1]
张海龙. 中国新能源发展研究[D]. 吉林: 吉林大学, 2014.

[Zhang Hailong. Research on the Development of New Energy in China[D]. Jilin:Jilin University, 2014. ]

[2]
Garcia E T, Ogueta M, Avila S, et al. On the effects of windbreaks on the aerodynamic loads over parabolic solar troughs[J]. Energy, 2014, 115(3): 293-300.

[3]
Chang R, Shen Y, Luo Y, et al. Observed surface radiation and temperature impacts from the large-scale deployment of photovoltaic in the barren area of Gonghe, China[J]. Renewable Energy, 2018, 118: 131-137.

[4]
Marrou H, Dufour L, Wery J. How does a shelter of solar panels influence water flows in a soil-crop system[J]. European Journal of Agronomy, 2013, 50(5): 38-51.

[5]
何继江. 沙漠中产生的6.5万亩草原——宁夏中卫腾格里沙漠光伏治沙考察侧记[J]. 电气时代, 2022, 45(5): 6-18.

[He Jijiang. 65000 mu grassland produced in the desert-sidelights on the investigation of photovoltaic sand control in Tengger Desert, Zhongwei, Ningxia[J]. Electrical Age, 2022, 45(5): 6-18. ]

[6]
杨帆, 牛天祥, 张振师, 等. 沙漠地区光伏电站风沙活动规律及其影响因素[J]. 西北水电, 2022, 30(5):79-84.

[Yang Fan, Niu Tianxiang, Zhang Zhenshi, et al. Wind-sand activity characteristics and its influence factors in photovoltaic power station in sand area[J]. Northwest Hydropower, 2022, 30(5): 79-84. ]

[7]
Chang Z F, Liu S, Zhu S J, et al. Ecological functions of desert Gobi photovoltaic power plant[J]. Journal of Resources and Ecology, 2016, 7(2): 130-136.

[8]
Gonzaga L G, Domingos J L, Alves A J, et al. Wind’s Actions Effects on Photovoltaic Panels Installed on Rooftop of Buildings[D]. Chicago: University of Chicago, 2017.

[9]
乔学, 谷帅, 罗晓群. 基于数值风洞的光伏支架阵列风载荷分布[J]. 计算机辅助工程, 2018, 27(1): 51-56.

[Qiao Xue, Gu Shuai, Luo Xiaoqun. Wind load distribution for photovoltaic bracket array based on numerical wind tunnel[J]. Computer Aided Engineering, 2018, 27(1): 51-56. ]

[10]
房彦山, 张国飞, 唐雯静. 太阳能光伏板阵列风压特性数值模拟研究[J]. 电力勘测设计, 2018, 30(4): 76-80.

[Fang Yanshan, Zhang Guofei, Tang Wenjing. Study on the numerical simulation of solar photovoltaic panels array of wind pressure characteristics[J]. Electric Power Survey and Design, 2018, 30(4): 76-80. ]

[11]
张大千, 吴康宁. 挡风墙对近地面光伏板风压的影响研究[J]. 沈阳航空航天大学学报, 2020, 37(3): 12-23.

[Zhang Daqian, Wu Kangning. Study on the influence of windshield wall on wind pressure of near-surface photovoltaic panel[J]. Journal of Shenyang Aerospace University, 2020, 37(3): 12-23. ]

[12]
张文龙, 来永斌, 王龙, 等. 风向角变化对外墙光伏阵列风载荷影响研究[J]. 电子测试, 2021, 35(7): 57-64.

[Zhang Wenlong, Lai Yongbin, Wang Long, et al. Study on the influence of wind direction angle change on wind load of photovoltaic array on external wall[J]. Electronic Test, 2021, 35(7): 57-64. ]

[13]
唐国栋, 蒙仲举, 党晓宏, 等. 沙区光伏阵列对近地层风沙输移的干扰效应[J]. 农业工程学报, 2021, 37(3): 101-110.

[Tang Guodong, Meng Zhongju, Dang Xiaohong, et al. Interference effect of solar photovoltaic array on near surface aeolian sand transport in sandy areas[J]. Transactions of the Chinese Society of Agricultural Engineering, 2021, 37(3): 101-110. ]

[14]
Yemenici O, Aksoy M O. An experimental and numerical study of wind effects on a ground-mounted solar panel at different panel tilt angles and wind directions[J]. Journal of Wind Engineering and Industrial Aerodynamics, 2021, 213(4): 1-17.

[15]
黄政, 杨国海, 韩晓丹, 等. 双列布局阵列下太阳能光伏板表面风压分布特性CFD数值计算分析[C]// 天津大学, 天津市钢结构学会. 第十六届全国现代结构工程学术研讨会论文集. 中国市政工程华北设计研究总院有限公司, 2016: 6.

[Huang Zheng, Yang Guohai, Han Xiaodan, et al. CFD numerical calculation and analysis of surface wind pressure distribution characteristics of solar photovoltaic panels under double row layout array[C]// Tianjin University, Tianjin Steel Structure Society Proceedings of the 16th National Symposium on Modern Structural Engineering China Municipal Engineering North China Design and Research Institute Co., Ltd., 2016: 6. ]

[16]
李居庆, 何艳丽, 徐志宏. 光伏板阵列风荷载遮挡效应分析[J]. 山西建筑, 2019, 45(2): 54-56.

[Li Juqing, He Yanli, Xu Zhihong. Analysis of wind load shielding effect of array photovoltaic panel[J]. Shanxi Architecture, 2019, 45(2): 54-56. ]

[17]
You Jangyoul, Lim Myungkwan, You Kipyo, et al. Wind coefficient distribution of arranged ground photovoltaic panels[J]. Sustainability, 2021, 13(5): 1-19.

[18]
袁方, 张振师, 卜崇峰, 等. 毛乌素沙地光伏电站项目区风速流场及风蚀防治措施[J]. 中国沙漠, 2016, 36(2): 287-294.

DOI

[Yuan Fang, Zhang Zhenshi, Bu Chongfeng, et al. Wind speed flow field and wind erosion control measures at photovoltaic power plant project area in mu us sandy land[J]. Journal of Desert Research, 2016, 36(2): 287-294. ]

DOI

[19]
龙浩楠. 草原地区的太阳能光伏板风荷载风洞实验研究[J]. 河南科技, 2022, 41(10): 79-83.

[Long Haonan. Wind tunnel test study of wind load on solar photovoltaic panels in grassland area[J]. Henan Science and Technology, 2022, 41(10): 79-83. ]

[20]
张学森, 李丹, 吴香国, 等. 建筑女儿墙对光伏板风载特性影响的风洞实验研究[J]. 建筑结构, 2022, 52(14): 115-123.

[Zhang Xuesen, Li Dan, Wu Xiangguo, et al. Wind tunnel test study on influence of building parapet on wind load characteristics of photovoltaic panel[J]. Building Structure, 2022, 52(14): 115-123. ]

[21]
孙涛, 王祺, 刘世增, 等. 单排光伏板防风固沙功能的风洞模拟研究[J]. 干旱区资源与环境, 2022, 36(4): 111-119.

[Sun Tao, Wang Qi, Liu Shizeng, et al. Wind tunnel simulation of wind prevention and sand fixation of single-row photovoltaic panels[J]. Journal of Arid Land Resources and Environment, 2022, 36(4): 111-119. ]

[22]
Hargreaves D, Wright N. On the use of the k-ε model in commercial CFD software to model the neutral atmospheric boundary layer[J]. Journal of Wind Engineering and Industrial Aerodynamics, 2007, 95(5): 355-369.

[23]
贺晶, 吴新宏, 杨婷婷, 等. 基于临界起沙风速的草地防风固沙功能研究[J]. 中国草地学报, 2013, 35(5): 103-107.

[He Jing, Wu Xinhong, Yang Tingting, et al. Research on sand-fixing function of grassland based on threshold wind velocity[J]. Chinese Journal of Grassland, 2013, 35(5): 103-107. ]

[24]
Li S, Weigand J, Ganguly S. The potential for climate impact from widespread deployment of utility-scale solar energy installations: An environmental remote sensing perspective[J]. Journal of Remote Sensing, 2017, 6: 1-6.

[25]
Li Y, Kalnay E, Zeng N, et al. Climate model shows large-scale wind and solar farms in the Sahara increase rain and vegetation[J]. Science, 2018, 361(54): 1019-1022.

[26]
Wang Z Y, Wang J, Dang X H, et al. Impacts of photovoltaic power station construction on ecology environment in sandy area[J]. Soil Water Conserve, 2019, 39(5): 191-196.

[27]
Anna S, Anssi L, Markku K. The influence of solar power plants on microclimatic conditions and the biotic community in Chilean desert environments[J]. Environmental Management, 2017, 30(15): 630-642.

[28]
唐国栋, 蒙仲举, 高永, 等. 基于风洞试验的风沙区光伏阵列近地表形态变化规律研究[J]. 水土保持通报, 2022, 42(4): 1-8.

[Tang Guodong, Meng Zhongju, Gao Yong, et al. A study on solar photovoltaic array surface morphology variation in sandy area based on wind tunnel test[J]. Bulletin of Soil and Water Conservation, 2022, 42(4): 1-8. ]

[29]
范华伟. 澳大利亚霍顿太阳能电站建设管理探索与实践[J]. 水电与新能源, 2020, 34(4): 32-47.

[Fan Huawei. Experience of the construction management in haughton solar power station in Australia[J]. Hydroelectric and New Energy, 2020, 34(4): 32-47. ]

[30]
贾瑞庭, 蒙仲举, 党晓宏, 等. 库布齐沙漠200 MWp光伏阵列的截流阻沙效应研究[J]. 中国农业科技导报, 2021, 23(4): 137-144.

DOI

[Jia Ruiting, Meng Zhongju, Dang Xiaohong, et al. Study on the intercepting and blocking sand effect of 200 MWp photovoltaic array in Kubuqi Desert[J]. Journal of Agricultural Science and Technology, 2021, 23(4): 137-144. ]

DOI

文章导航

/